আজ সন্ধ্যায় অন্ধ্র উপকূলে ‘মোন্থা’র ল্যান্ডফল , ১০০ কিলোমিটার বেগে তাণ্ডব চালাবে ঘূর্ণিঝড়! বাতিল বিমান-ট্রেন , কী প্রভাব বাংলায়?

0
205

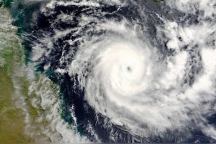
প্রতি মুহূর্তে ইনস্যাট স্যাটেলাইটের থ্রি–ডি রাডার ইমেজারিতে চোখ রেখে চলেছেন মৌসম ভবনের আবহাওয়াবিদরা । কারণ, আজ সন্ধ্যার মধ্যে অন্ধ্রপ্রদেশের  কাঁকিনাড়ার কাছে ‘তীব্র ঘূর্ণিঝড়’ হিসেবে আছড়ে পড়তে চলেছে ‘মান্থা’ ।

তবে আবহাওয়াবিদদের চিন্তা শুধু অন্ধ্র উপকূলে সীমাবদ্ধ নয়, ল্যান্ডফলের প্রায় দেড় হাজার কিলোমিটার দূরের উত্তরবঙ্গের দিকেও তাঁদের নজর।

যদিও ঘূর্ণিঝড়ের মূল প্রভাব উত্তরবঙ্গে পৌঁছবে না, কিন্তু ল্যান্ডফলের পরবর্তী তিন দিনে ‘মান্থা’র ‘আফটার ইফেক্ট’–এর কারণে বৃষ্টি ও আবহাওয়া পরিবর্তনের আশঙ্কা থেকেই যাচ্ছে। সদ্য প্রাকৃতিক বিপর্যয়ের ধাক্কা সামলে উঠতে থাকা উত্তরবঙ্গে তাই নতুন উদ্বেগ তৈরি হয়েছে।

তিন দশকের রেকর্ডে ‘অক্টোবর সাইক্লোন’
অক্টোবর মাসে বঙ্গোপসাগরে গঠিত ঘূর্ণিঝড়গুলির দিকে তাকালে দেখা যায় ২০১৮ সালের ‘তিতলি’, ২০১৩–র ‘ফিলিন’ এবং ১৯৯৮–এর সুপার সাইক্লোন— সবক’টিই ছিল প্রাণঘাতী। ‘তিতলি’ কেড়ে নিয়েছিল ৮৫ জনের প্রাণ, ‘ফিলিন’ প্রায় ৪৬ জনকে, আর ১৯৯৮–এর সুপার সাইক্লোনে প্রাণ হারিয়েছিলেন অন্তত ১০ হাজার মানুষ। এই কারণেই আবহবিদরা ‘মান্থা’–কে হালকা ভাবে নিচ্ছেন না।

অন্ধ্রপ্রদেশের উপকূলবর্তী এলাকায় ইতিমধ্যে ভারী ঝড়বৃষ্টি শুরু হয়ে গিয়েছে। গোটা উপকূলবর্তী এলাকায় জারি করা হয়েছে সতর্কতা।

অন্ধ্রপ্রদেশের বিজয়ওয়াড়া, রাজামুন্দ্রে, কাকিনাড়া, বিশাখাপত্তনম এবং ভীমবরম হয়ে চলাচল করা অন্তত ৬৫টি ট্রেন মঙ্গল এবং বুধবারের জন্য বাতিল রাখা হয়েছে। পরবর্তী সময়ে আবহওয়া কেমন থাকে, সেই অনুসারে সিদ্ধান্ত নেওয়া হবে বলে জানিয়েছেন রেল আধিকারিকেরা। দুর্যোগের আশঙ্কায় সতর্কতামূলক পদক্ষেপ করা হচ্ছে বিশাখাপত্তনম বিমানবন্দরেও। ইন্ডিয়ো এবং এয়ার ইন্ডিয়া এক্সপ্রেসের বিশাখাপত্তনম থেকে উড়ানের সব বিমান মঙ্গলবার বাতিল রাখা হয়েছে।

সোমবার সকালে দক্ষিণ–পশ্চিম বঙ্গোপসাগরের অতি গভীর নিম্নচাপটি ঘূর্ণিঝড়ে পরিণত হওয়ার পর, সেটি ঘণ্টায় প্রায় ১৭ কিলোমিটার গতিতে অন্ধ্র উপকূলের দিকে এগোতে শুরু করে। সোমবার রাত পর্যন্ত ঘূর্ণিঝড়টি কাঁকিনাড়া থেকে প্রায় ৪৩০ কিলোমিটার দক্ষিণ–পূর্বে অবস্থান করছিল।

আজ মঙ্গলবার সন্ধের পরে ‘মান্থা’ আরও শক্তি সঞ্চয় করে ‘তীব্র ঘূর্ণিঝড়’ হিসেবে ল্যান্ডফল করবে বলে অনুমান। সেই সময়ে বাতাসের গতি ঘণ্টায় ১১০ কিলোমিটার পর্যন্ত পৌঁছতে পারে বলে সতর্কতা জারি হয়েছে।

দুর্বল হবে মান্থা, কিন্তু বৃষ্টি থামবে না
ল্যান্ডফলের পর দ্রুতই শক্তি হারিয়ে ‘মান্থা’ আবার ঘূর্ণিঝড় থেকে গভীর নিম্নচাপে পরিণত হবে। এরপর তা অন্ধ্রপ্রদেশ পেরিয়ে ওড়িষা, ছত্তীসগড় হয়ে উত্তরপ্রদেশের দিকে এগোবে।

আবহবিদদের অনুমান, এর অবশিষ্টাংশেও থাকবে প্রচুর জলীয় বাষ্প, যার ফলে উত্তরপ্রদেশের হিমালয় ঘেঁষা অঞ্চলে প্রবল বৃষ্টিপাত হতে পারে।

এই বৃষ্টির প্রভাব উত্তরপ্রদেশে সীমাবদ্ধ থাকবে না। ৩০ অক্টোবর (বৃহস্পতিবার) দার্জিলিং ও কালিম্পং–এ ভারী বৃষ্টির সম্ভাবনা রয়েছে। এরপরের দিন ৩১ অক্টোবর (শুক্রবার) দার্জিলিং, কালিম্পং, জলপাইগুড়ি ও কোচবিহার–সহ উত্তরবঙ্গের বেশ কয়েকটি জেলায় অতি ভারী বৃষ্টির (৭–২০ সেমি) আশঙ্কা করা হচ্ছে। সেই জন্য ওই দিন কমলা সতর্কতা জারি করেছে আবহাওয়া দফতর।

অক্টোবরের শুরুতে উত্তরবঙ্গে যে ভয়াবহ প্রাকৃতিক বিপর্যয় নেমে এসেছিল, তার ক্ষত এখনও শুকায়নি। সেই পরিস্থিতিতেই ফের ভারী বৃষ্টির আশঙ্কা নতুন দুশ্চিন্তা বাড়াচ্ছে উত্তরবঙ্গে।

Previous articleFashion show মডেলিং বয়সের কোনও সীমা বাঁধে না – এমনটাই দেখালো অনির্বান দে’র পারফেক্ট ফ্যাশান হাউস – দেখুন ভিডিও
Next articleMatua Community on CAA: হিন্দুত্বের কার্ডে নাগরিকত্বের দাওয়াই! মতুয়া কার্ডের জন্য দিতে হচ্ছে ১০০ টাকা, উঠছে প্রশ্ন

LEAVE A REPLY

Please enter your comment!
Please enter your name here